İstanbul
Parçalı bulutlu
14°
Adana
Adıyaman
Afyonkarahisar
Ağrı
Amasya
Ankara
Antalya
Artvin
Aydın
Balıkesir
Bilecik
Bingöl
Bitlis
Bolu
Burdur
Bursa
Çanakkale
Çankırı
Çorum
Denizli
Diyarbakır
Edirne
Elazığ
Erzincan
Erzurum
Eskişehir
Gaziantep
Giresun
Gümüşhane
Hakkari
Hatay
Isparta
Mersin
İstanbul
İzmir
Kars
Kastamonu
Kayseri
Kırklareli
Kırşehir
Kocaeli
Konya
Kütahya
Malatya
Manisa
Kahramanmaraş
Mardin
Muğla
Muş
Nevşehir
Niğde
Ordu
Rize
Sakarya
Samsun
Siirt
Sinop
Sivas
Tekirdağ
Tokat
Trabzon
Tunceli
Şanlıurfa
Uşak
Van
Yozgat
Zonguldak
Aksaray
Bayburt
Karaman
Kırıkkale
Batman
Şırnak
Bartın
Ardahan
Iğdır
Yalova
Karabük
Kilis
Osmaniye
Düzce
Yeni Birlik Gazetesi Galeriler Yaşam Fındık Üreticilerinin Kokarca Sorununa Çözüm Bulundu! Samuray Arısı Üretimi Hız Kazandı

Fındık Üreticilerinin Kokarca Sorununa Çözüm Bulundu! Samuray Arısı Üretimi Hız Kazandı

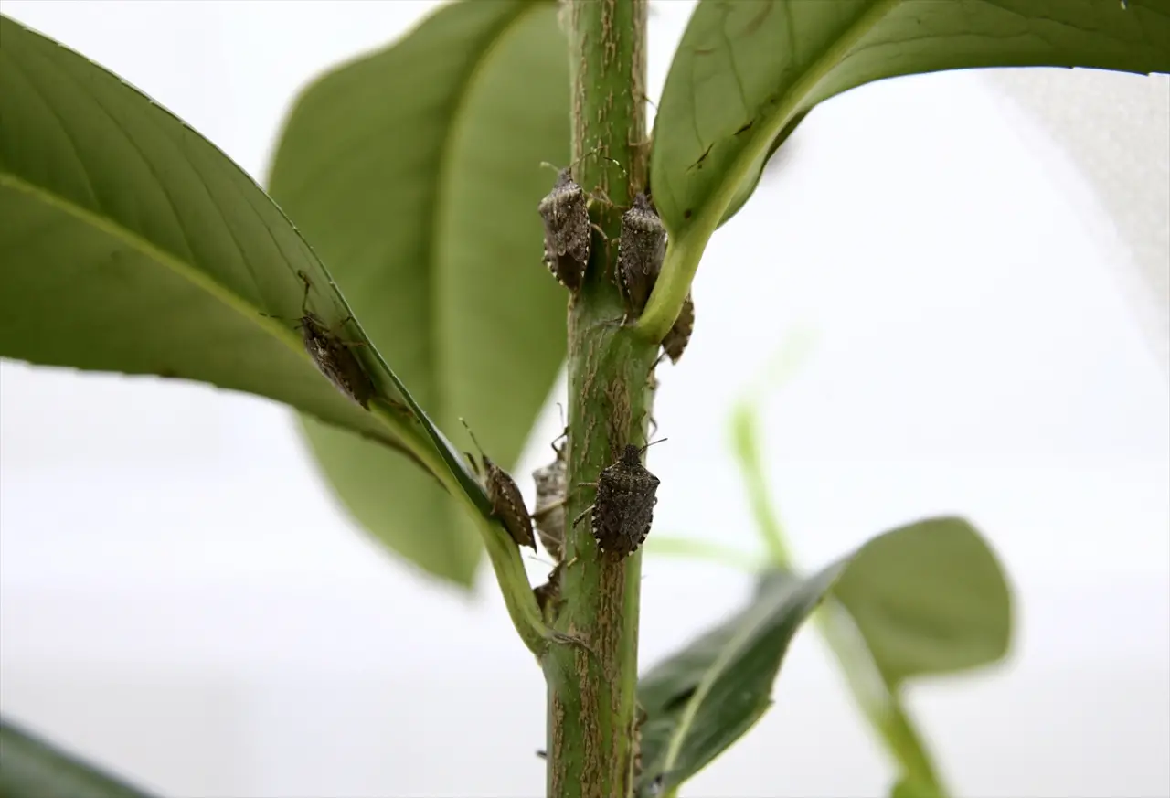
Fındık üreticileri, son yıllarda kahverengi kokarca zararlısının tarım alanlarına verdiği ciddi zararlarla mücadele ediyor. Özellikle Doğu Karadeniz Bölgesi'nde, fındık bahçelerinde görülen kahverengi kokarca, hem verimi düşürüyor hem de kaliteyi olumsuz etkiliyor. Ancak bu soruna yönelik biyolojik mücadele çalışmaları umut vadediyor. Tarım ve Orman Bakanlığı desteğiyle Fındık Araştırma Enstitüsünde yürütülen samuray arısı üretimi projeleri, kahverengi kokarca sorununa kalıcı bir çözüm getirmeyi hedefliyor.

Fındık Üreticilerinin Kokarca Sorununa Çözüm Bulundu! Samuray Arısı Üretimi Hız Kazandı 1

Samuray Arısı Üretimi Artırıldı, Hedef 300 Bin

Geçtiğimiz yıl sadece 5 bin samuray arısı üretilirken, bu yıl için 300 bin üretim hedefi belirlendi. Fındık Araştırma Enstitüsü laboratuvarlarında yapılan çalışmalar sonucunda, şu ana kadar 160 binden fazla samuray arısı üretimi tamamlandı. Fındık Araştırma Enstitüsü Müdürü Yusuf Bilgen, konuya ilişkin yaptığı açıklamada, Tarım ve Orman Bakanlığı Tarımsal Araştırmalar ve Politikalar Genel Müdürlüğü desteğiyle üç iklim odası kurulduğunu belirtti. Bu yatırımlar sayesinde üretim kapasitesinin ciddi oranda artırıldığına dikkat çeken Bilgen, çalışmaların hız kesmeden devam ettiğini vurguladı.

1 / 5
Fındık Üreticilerinin Kokarca Sorununa Çözüm Bulundu! Samuray Arısı Üretimi Hız Kazandı 2

Kokarcaya Karşı Doğal Savaş Başlıyor

Kahverengi kokarca, hava sıcaklıklarının 14 derecenin üzerine çıkmasıyla birlikte yumurtlamaya başlıyor. Bu süreçte doğaya salınacak samuray arıları, kahverengi kokarcanın yumurtalarına yerleşerek çoğalıyor ve zararlının popülasyonunu kontrol altında tutuyor. Haziran ayının ortasından itibaren, Giresun, Trabzon, Rize ve Artvin illerinde samuray arılarının salınımına başlanması planlanıyor.

Bilgen, “Kışlaklardan toplanan kahverengi kokarcaların, enstitü laboratuvarında yumurtlamaları sağlanıyor. Samuray arıları, bu yumurtalarla etkileşime girerek zararlının üremesini engelliyor. Haziran ayı ortasına kadar 300 bin samuray arısına ulaşmayı hedefliyoruz.” dedi.

2 / 5
Fındık Üreticilerinin Kokarca Sorununa Çözüm Bulundu! Samuray Arısı Üretimi Hız Kazandı 3

Fındık Üreticileri İçin Umut Oldu

Kahverengi kokarcanın, fındık üreticileri üzerinde oluşturduğu baskı, son yıllarda ciddi ekonomik kayıplara yol açmıştı. Bu biyolojik mücadele yöntemi, kimyasal ilaçların neden olduğu çevresel zararların da önüne geçecek. Bilgen, “Enstitü laboratuvarında görev yapan personelimizin yanı sıra, İl ve İlçe Tarım ve Orman Müdürlüklerimiz ve çiftçilerimizin destekleriyle süreci başarıyla yürütüyoruz.” ifadelerini kullandı.

3 / 5
Fındık Üreticilerinin Kokarca Sorununa Çözüm Bulundu! Samuray Arısı Üretimi Hız Kazandı 4

Haziran’da Büyük Mücadele Başlıyor

Genel görüşe göre, samuray arılarının salımı, kahverengi kokarcanın yumurtlama dönemi olan haziran ayının ortasında başlayacak. Mevsim koşullarına bağlı olarak bu tarih, bazı bölgelerde değişiklik gösterebilir. Ancak Bilgen, “Salım yapılacak tarihin haziran ayının ortası olması gerektiğini düşünüyoruz.” diyerek, üreticilere hazırlıklı olmaları çağrısında bulundu.

4 / 5
Fındık Üreticilerinin Kokarca Sorununa Çözüm Bulundu! Samuray Arısı Üretimi Hız Kazandı 5

Doğu Karadeniz’de Yeni Dönem Başlıyor

Doğu Karadeniz’in bereketli fındık bahçelerinde, kahverengi kokarcanın neden olduğu zararın biyolojik mücadeleyle ortadan kaldırılması, bölgedeki tarımsal üretimin sürdürülebilirliğini artıracak. Samuray arıları, bu mücadelede en etkili doğal çözüm olarak görülüyor. Fındık üreticileri, haziran ayını umutla bekliyor.

5 / 5